融信集团4.19亿竞得平潭综合实验区89.06亩地块

house.fjsen.com 2012-12-17 15:05 来源: 东南网 我来说两句

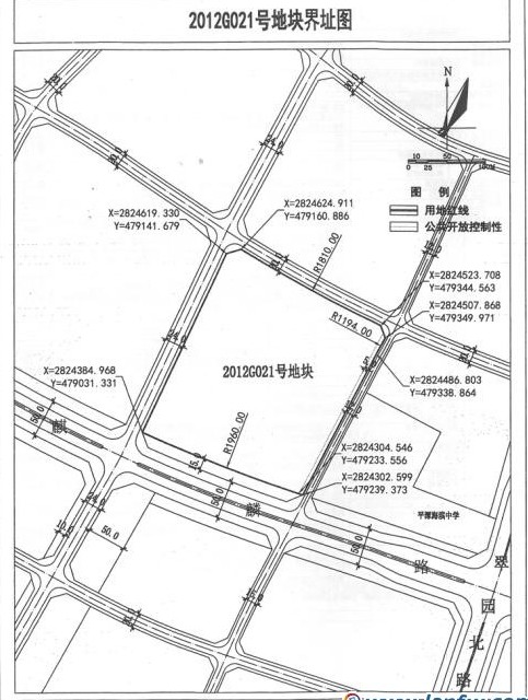
地块详细参数

2012年12月14日,融信(福建)投资集团有限公司以4.19亿元人民币成功竞得福建省平潭综合实验区宗地2012G021优质地块,该地块座落于平潭麒麟路北侧(平潭海滨中学西侧),总占地面积约89.06亩,为居住、商业用地。

福建省平潭岛地处福建沿海中心区域,东临台湾海峡,与台湾新竹港相距仅68海里,是大陆距离台湾最近的区域。中国十二五发展规划纲要明确指出,要“加快推进平潭岛开发开放”,平潭综合实验区将作为海峡西岸经济区建设先行先试的窗口,平潭已经成为国内众多一流开发商竞相进驻的宝地,而本次融信集团脱颖而出摘得平潭综合实验区89.06亩地块,正是融信集团强大实力和市场竞争力的体现。

责任编辑:肖月青
请选择您看到这篇新闻时的心情 查看心情排行>>
相关新闻
精品楼盘展示区
相关评论
  • 一月
  • 一周

黄其森建议异地配建保障房,京千万以上住宅取消限购自住型商品房可退出。[详细]

他是胡润2009慈善榜·单年子榜的冠军,他缔造了中国地产的一个个神话。[详细]